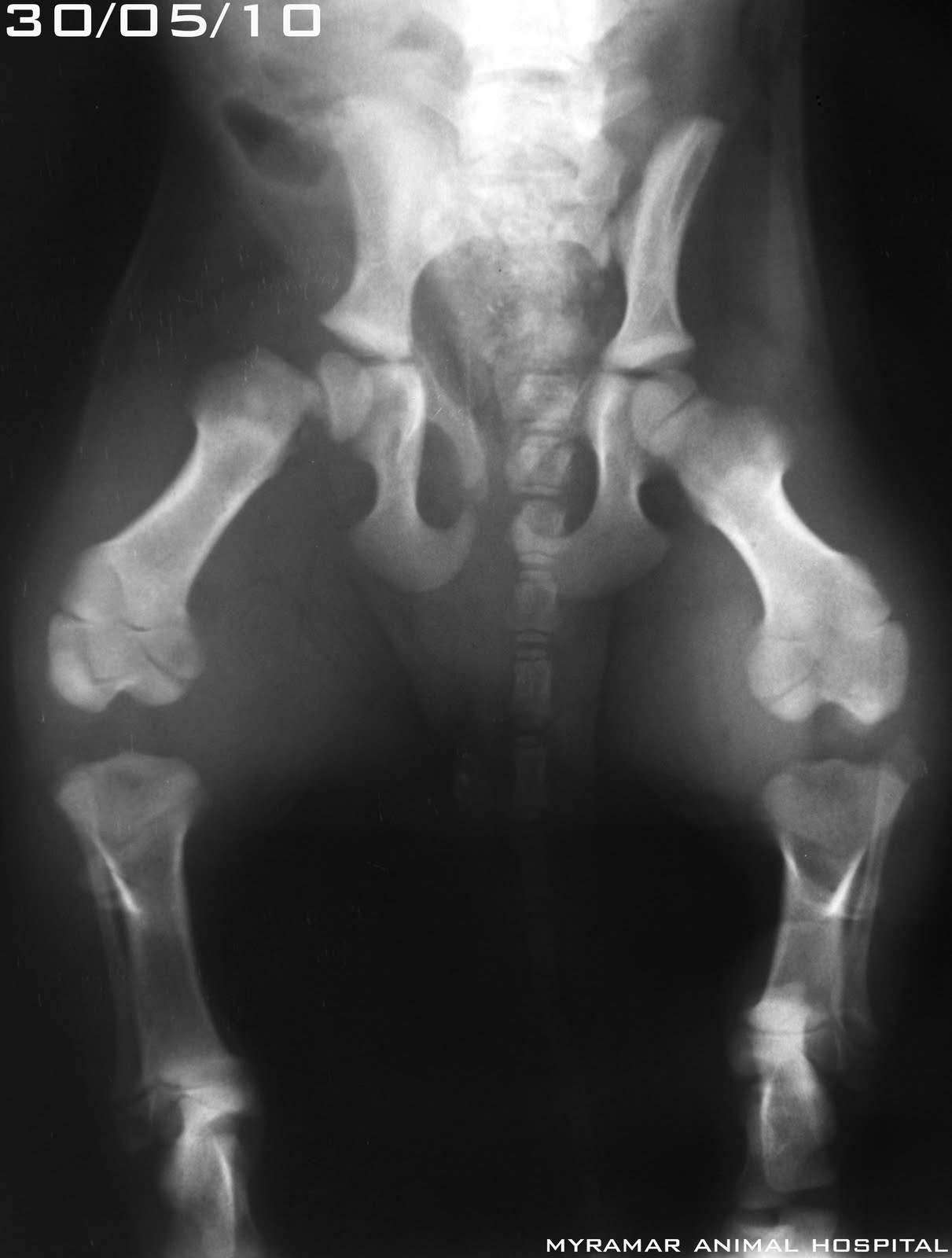
Apolo, bosque de Noruega de 14 meses y 3.8 kg, llega referido con una fractura diafisaria de fémur de cuñas no reducibles. Class AOVET. 32-B3.
Bajo el concepto de estabilidad relativa se reduce utilizando placa LCP synthes 2.7mm con 4 tornillos LHS 2.7mm y un tornillo de cortical 2.7mm. Se refuerza con aguja de Kirschner centromedular de 1.8mm.
Se presentan radiografías pre y postquirgicas del caso.
www.myramaranimalhospital.com
Jesús Sánchez Nicolás
Miembro CC GEVO
AOVET active member
Myramar Animal Hospital
Fuengirola, Málaga. Spain
Bajo el concepto de estabilidad relativa se reduce utilizando placa LCP synthes 2.7mm con 4 tornillos LHS 2.7mm y un tornillo de cortical 2.7mm. Se refuerza con aguja de Kirschner centromedular de 1.8mm.
Se presentan radiografías pre y postquirgicas del caso.

www.myramaranimalhospital.com
Jesús Sánchez Nicolás
Miembro CC GEVO
AOVET active member
Myramar Animal Hospital
Fuengirola, Málaga. Spain















































